Kasırga büyük yıkıma yol açtı: BM yardım bütçesi ayırdı
Halktv sayfasından alınan verilere göre, Ankara24.com bilgi veriyor.
Birleşmiş Milletler (BM) Genel Sekreteri Antonio Guterres, Atlantik üzerinde oluşan Melissa Kasırgası'nın Karayipler bölgesinde geniş çaplı yıkıma yol açmasına ilişkin BM Genel Sekreter Sözcülüğü üzerinden yazılı açıklama yayımladı.
Açıklamada, “Genel Sekreter, kaydedilen en güçlü Atlantik kasırgalarından biri olan Melissa Kasırgası'nın Karayıpler'de geniş çaplı yıkıma yol açmasından derin endişe duymaktadır.” denildi.

Genel Sekreter'in, Melissa Kasırgası'ndan etkilenen hükümet ve halklarla dayanışma içinde olduğu kaydedilen açıklamada, hayatını kaybedenlerin ailelerine taziye iletildi, yaralılara acil şifalar dilendi.
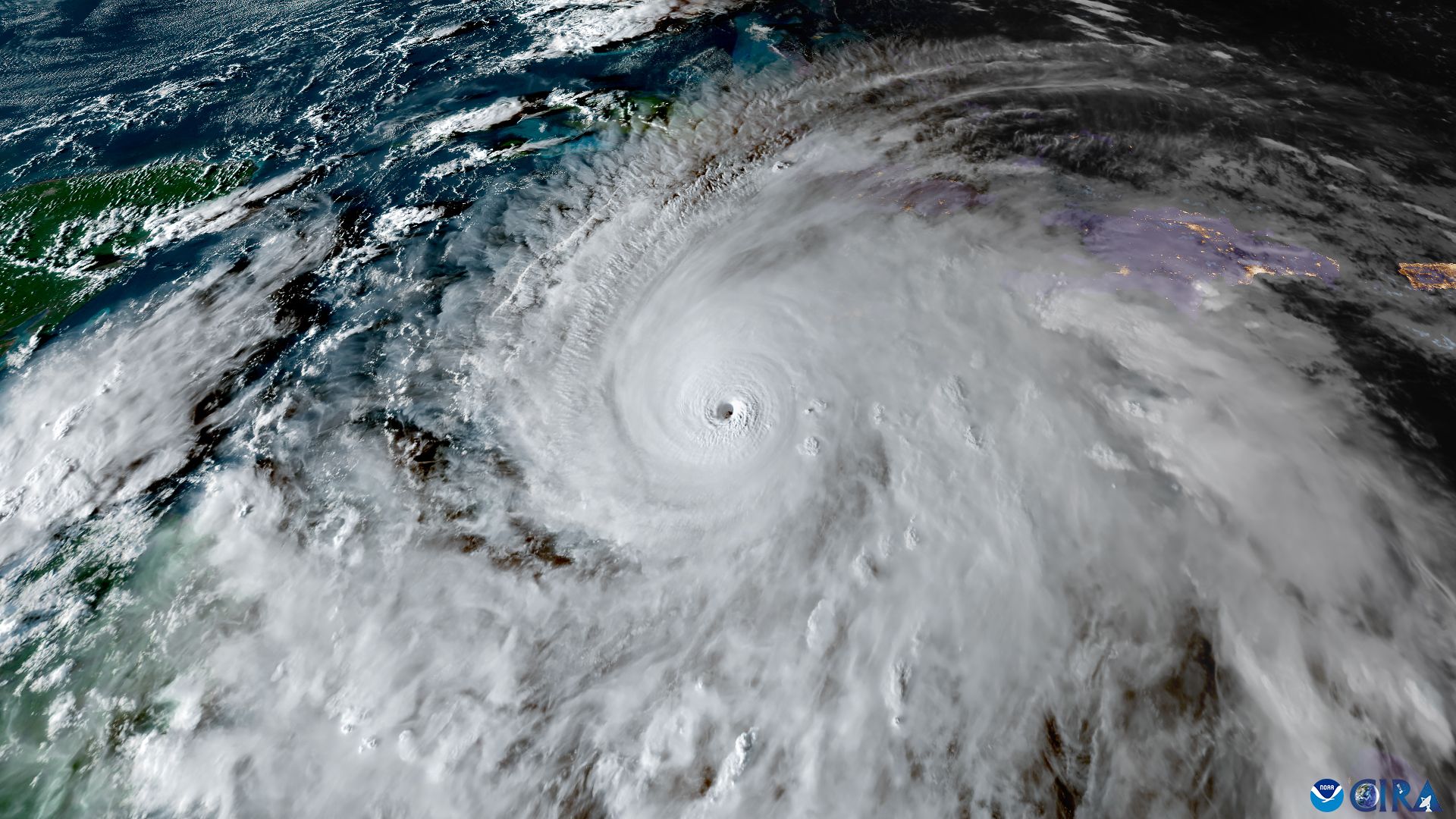
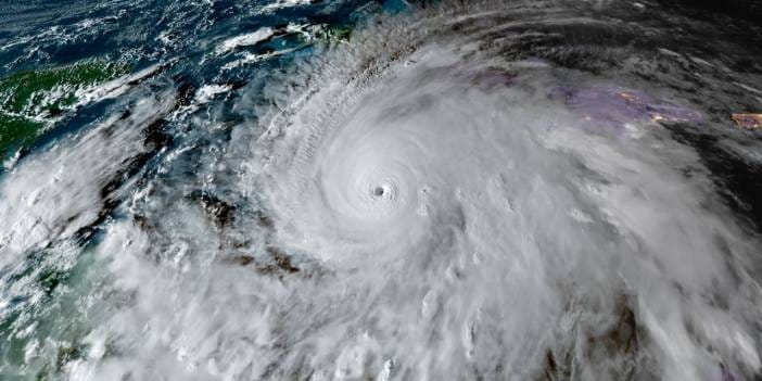
Melissa Kasırgası Jamaika'ya ulaştı! Hızı 295 kilometreye çıktı
Açıklamada, BM’nin kasırgadan etkilenen ülkelere insani yardım için hazır olduğu belirtilerek, söz konusu felaket için acil 4 milyon dolar ayrıldığı ve BM ekiplerinin önceden konuşlandırılmış şekilde hazır bekletildiği bildirildi.

Hızı saatte 260 kilometreye kadar çıkan ve şiddetinin, en tehlikeli seviye anlamına gelen "5. Kategori"ye yükseldiği belirtilen Melissa Kasırgası, Jamaika ve Küba’da etkili olmuştu.
Şiddetli yağış, fırtına ve sel baskınlarına neden olan kasırga dolayısıyla Küba Devlet Başkanı Miguel Diaz Canel, ülkede 735 binden fazla kişinin tahliye edildiğini bildirmişti.
Bu konudaki diğer haberler:
Görüntülenme:87
Bu haber kaynaktan arşivlenmiştir 29 Ekim 2025 17:58 kaynağından arşivlendi



Giriş yap
Haberler
Türkiye'de Hava durumu
Türkiye'de Manyetik fırtınalar
Türkiye'de Namaz vakti
Türkiye'de Değerli metaller
Türkiye'de Döviz çevirici
Türkiye'de Kredi hesaplayıcı
Türkiye'de Kripto para
Türkiye'de Burçlar
Türkiye'de Soru - Cevap
İnternet hızını test et
Türkiye Radyosu
Türkiye televizyonu
Hakkımızda








En çok okunanlar



















