2026’nın en güçlü fırtınası geliyor! Süper tayfun rotasını o bölgeye çevirdi Sözcü Gazetesi
Sozcu sayfasından alınan verilere dayanarak, Ankara24.com duyuruda bulunuyor.
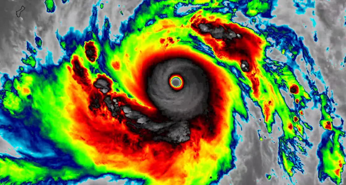
Meteoroloji verilerine göre Sinlaku, kısa sürede olağanüstü bir güç kazanarak saatte yaklaşık 250–290 kilometreye ulaşan rüzgar hızlarına çıktı. Bu değerler, fırtınayı Kategori 4 hatta yer yer Kategori 5 seviyesine yaklaştırıyor.
O BÖLGELER RİSK ALTINDATayfunun rotasında özellikle Kuzey Mariana Adaları bulunuyor. Rota, Tinian ve Saipan gibi bölgelerde yaşayan binlerce kişi için ciddi risk oluştururken, Guam için de uyarılar yapılmış durumda. Yetkililer, tayfunun önümüzdeki günlerde etkisini artırarak bölgeye ulaşmasının beklendiğini belirtiyor.
SEL VE DEV DALGA UYARISI YAPILDI
Uzmanlar, fırtınanın sadece rüzgarla değil, beraberinde getireceği yoğun yağış ve dev dalgalarla da tehlike yarattığını vurguluyor. Bazı bölgelerde yüzlerce milimetreyi bulabilecek yağışın sel, toprak kayması ve ciddi altyapı hasarına yol açabileceği belirtiliyor.
Yetkililer, tayfunun etkili olacağı bölgelerde uçuşların iptal edildiğini, okulların kapatıldığını ve acil durum hazırlıklarının başlatıldığını açıkladı. Özellikle kıyı kesimlerinde yaşayanların tahliye planlarına hazır olması isteniyor.
Bilim insanlarına göre Sinlaku’nun bu kadar erken dönemde bu seviyeye ulaşması alışılmadık bir durum. Normalde tayfun sezonu yaz aylarında yoğunlaşırken, Nisan ayında bu güçte bir fırtına görülmesi bilim insanlarını da şaşırtıyor.
Uzmanlar, tayfunun rotasında küçük değişiklikler olabileceğini ancak genel riskin yüksek kaldığını belirterek, bölge halkının resmi uyarıları yakından takip etmesi gerektiğini vurguluyor.
Bu konudaki diğer haberler:
Görüntülenme:47
Bu haber kaynaktan arşivlenmiştir 13 Nisan 2026 17:03 kaynağından arşivlendi



Giriş yap
Haberler
Türkiye'de Hava durumu
Türkiye'de Manyetik fırtınalar
Türkiye'de Namaz vakti
Türkiye'de Değerli metaller
Türkiye'de Döviz çevirici
Türkiye'de Kredi hesaplayıcı
Türkiye'de Kripto para
Türkiye'de Burçlar
Türkiye'de Soru - Cevap
İnternet hızını test et
Türkiye Radyosu
Türkiye televizyonu
Hakkımızda








En çok okunanlar



















